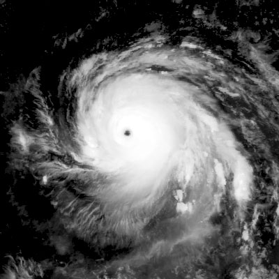
Hurricane Irma: At least seven dead, death toll expected to rise
Extensive damage has been reported from several parts of the island, as the death toll is expected to rise.
The Barbuda Island is said to be barely habitable, while BBC news quoted officials as saying that the French territory of St Martin is almost destroyed.
The threat level has been raised to category five in the US, the highest in a five-point scale.
Irma is said to be the most powerful Atlantic storm in a decade and had wind speeds of 295km/h (185mph).
It is expected to pass near the north of the coast of the Dominican Republic on Thursday.
Following the devastation, Antigua and Barbuda Prime Minister Gaston Browne said about 95 percent of the buildings had suffered some damage.
"The island is literally under water. In fact, I'm of the view that, as it stands now, Barbuda is barely habitable," he was quoted in the media as saying.
The hurricane also destroyed St Martin's airport, the third largest in the Caribbean.
At least six deaths were reported in the French territories of St Martin and Saint Barthélemy.
Loss of electricity and the shortage of drinking water have only added to the woes of the residents.
How to deem the category of a storm:
There are five categories in the Saffir-Simpson Hurricane Wind scale.
Category One: Wind speed upto 153 km/hr. Slight damage and power cuts.
Category Two: Wind speed 154-177 km/hr. Significant damage.
Category Three: Wind speed 178-208 km/hr. Building suffering major damage.
Category Four: Wind Speed 209-251 km/hr. Trees blown over. Building suffering major damage.
Category Five: Wind Speed 252+ km/hr. Trees blown over. Building suffering major damage. Major roads cut off.
Support Our Journalism
We cannot do without you.. your contribution supports unbiased journalism
IBNS is not driven by any ism- not wokeism, not racism, not skewed secularism, not hyper right-wing or left liberal ideals, nor by any hardline religious beliefs or hyper nationalism. We want to serve you good old objective news, as they are. We do not judge or preach. We let people decide for themselves. We only try to present factual and well-sourced news.
